E’ stato terminato negli ultimi giorni il ‘by-pass’ sulla ciclabile nella zona de ‘La Vesca’ a Sanremo, per consentire i lavori di messa in sicurezza della cosiddetta ‘Collina che frana’. La prima fase dei lavori, finanziati anche dalla Regione per un totale di circa 1,6 milioni di euro, ha visto la creazione di un doppio cantiere.
Si tratta di quello interessato dai lavori nel parcheggio (che ovviamente al momento non è utilizzato) dell'hotel Montecarlo e quello con le baracche e altri mezzi dal lato opposto del vivaio, in un terreno gerbido.
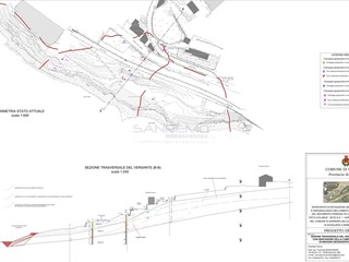
I lavori, che andranno avanti per circa due anni, sono propedeutici a fermare una frana attiva, che sta provocando ingenti danni alle strutture esistenti ed alle opere viarie. La frana, di tipo roto-traslativa, è estesa sia in senso trasversale che longitudinale. Proprio per questo, da diversi anni, la statale Aurelia vede nella zona un senso unico alternato regolato da semaforo.
L’intervento è a cura di Anas e si sviluppa a seguito della presentazione da parte del Comune di Sanremo nel 2019, del progetto di fattibilità tecnico economica. I primi interventi riguardano la paratia a valle della pista ciclabile e a valle del muro Anas. Per evitare la chiusura della ciclabile è stato creato il by-pass che si vede nelle foto.
I prossimi interventi vedranno la costruzione di una paratia tipo lungo Via Duca D’Aosta, quella del muro di sostegno della scarpata a monte della pista ciclabile, la realizzazione di una scogliera e di un sistema di drenaggio a monte di via Duca D’Aosta. Quindi è previsto un sistema di drenaggio a valle della pista ciclabile,la sostituzione del tubo della fognatura lungo via Duca D’Aosta e il consolidamento del muro esistente lungo la S.S. 1 Aurelia.
In seconda battuta sarà Anas a intervenire per i lavori sui 160 metri di muro di contenimento per una spesa di circa 9 milioni di euro. La paratia da 160 metri è costituta da una doppia fila di pali con diametro da 800 mm per un totale di 268 pali. In totale tra Comune, Anas, Regione Liguria e fondi PNRR a La Vesca saranno in vestiti circa 13 milioni di euro.






























